Rif: IMMO-54302130
MILANO
MILANO - zona Missori
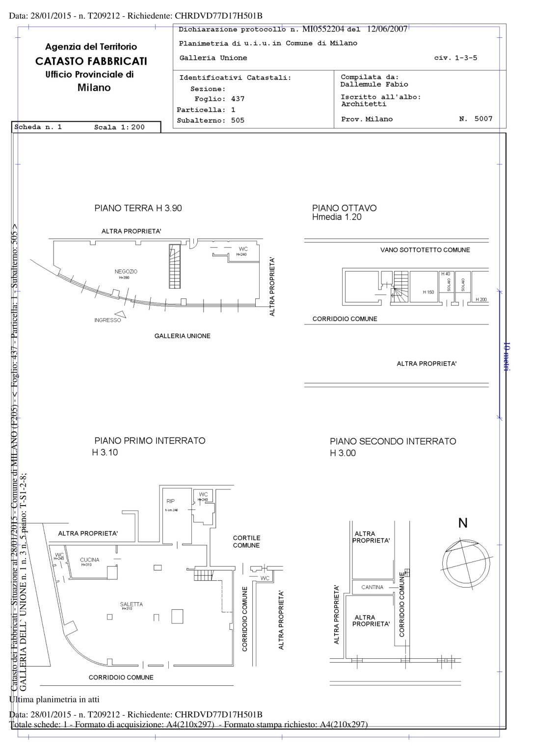
ESCLUSIVA DI ZONA. Unità immobiliare commerciale, precedentemente ad uso bar/ristorante, sito in condominio nel centro storico del comune di Milano e più precisamente in Galleria Unione 36.L'unità immobiliare è così costituita: a piano terra locale (ex bar) di 70 mq; al piano S1 unico spazio di 150 mq (ex sala con cucina) più piccolo soppalco di 10 mq; completano la proprietà una cantina a piano interrato S2, 2 solai al piano ottavo e un posto auto ad uso esclusivo nella corte condominiale.
Buona posizione - Sufficiente stato manutentivo
DOCUMENTI IN UFFICIO
NUMERO VERDE: 800.912.936
REF. ARCH. PAGNOTTI
Buona posizione - Sufficiente stato manutentivo
DOCUMENTI IN UFFICIO
NUMERO VERDE: 800.912.936
REF. ARCH. PAGNOTTI
Consistenze
| Descrizione | Superficie | Sup. comm. |
|---|---|---|
| Principali | ||
| Negozio - piano terra | 70 Mq | 70 Mqc |
| Negozio - piano interrato | 150 Mq | 150 Mqc |
| Totale | 220 Mqc | |






